4426 69 Street Camrose, Alberta T4V 2P7

$122,500

Welcome to West Park's newest development....Lakeside!!! This development is situated close to shopping and dining. You can access the walking path along the lake and build your own home! Don't miss out on an amazing opportunity in 2026. (id:57810)

Property Details

MLS® Number A2016859
Property Type Vacant Land
Community Name West Park
Amenities Near By Shopping
Plan 2521037
Structure None

Building

Age Age Is Unknown

Land

Acreage No
Fence Type Not Fenced
Land Amenities Shopping
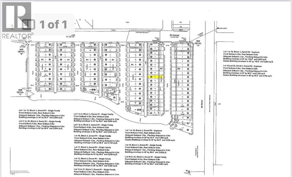
Size Depth 36.88 M
Size Frontage 8.84 M
Size Irregular 3638.00
Size Total 3638 Sqft|0-4,050 Sqft
Size Total Text 3638 Sqft|0-4,050 Sqft
Zoning Description R2

https://www.realtor.ca/real-estate/25208085/4426-69-street-camrose-west-park

Contact Us

Contact us for more information

Generating Captcha

Your Favourites

 

No Favourites Found