4425 72 Street Camrose, Alberta T4V 2P7

$157,100

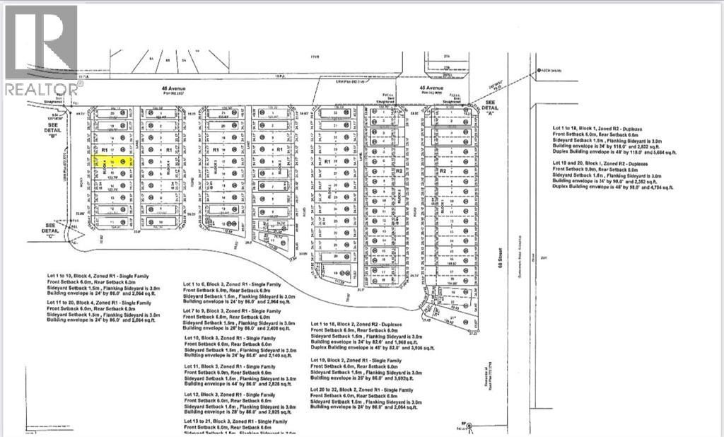
Welcome to West Park's newest development....Lakeside!!! This development is situated close to shopping and dining. You can access the walking path along the lake and build your own home! Don't miss out on an amazing opportunity in 2026. (id:57810)

Property Details

MLS® Number A2017294
Property Type Vacant Land
Community Name West Park
Amenities Near By Shopping
Plan 2521037
Structure None

Building

Age Age Is Unknown

Land

Acreage No
Fence Type Not Fenced
Land Amenities Shopping
Size Depth 37.49 M
Size Frontage 10.36 M
Size Irregular 4305.00
Size Total 4305 Sqft|4,051 - 7,250 Sqft
Size Total Text 4305 Sqft|4,051 - 7,250 Sqft
Zoning Description R1

https://www.realtor.ca/real-estate/25208176/4425-72-street-camrose-west-park

Contact Us

Contact us for more information

Generating Captcha

Your Favourites

 

No Favourites Found